Menu
Obec Rapotín
Obec Rapotín

V Rapotíně vznikne nová lokalita pro rodinné domy

V Rapotíně vznikne nová lokalita pro rodinné domy 1

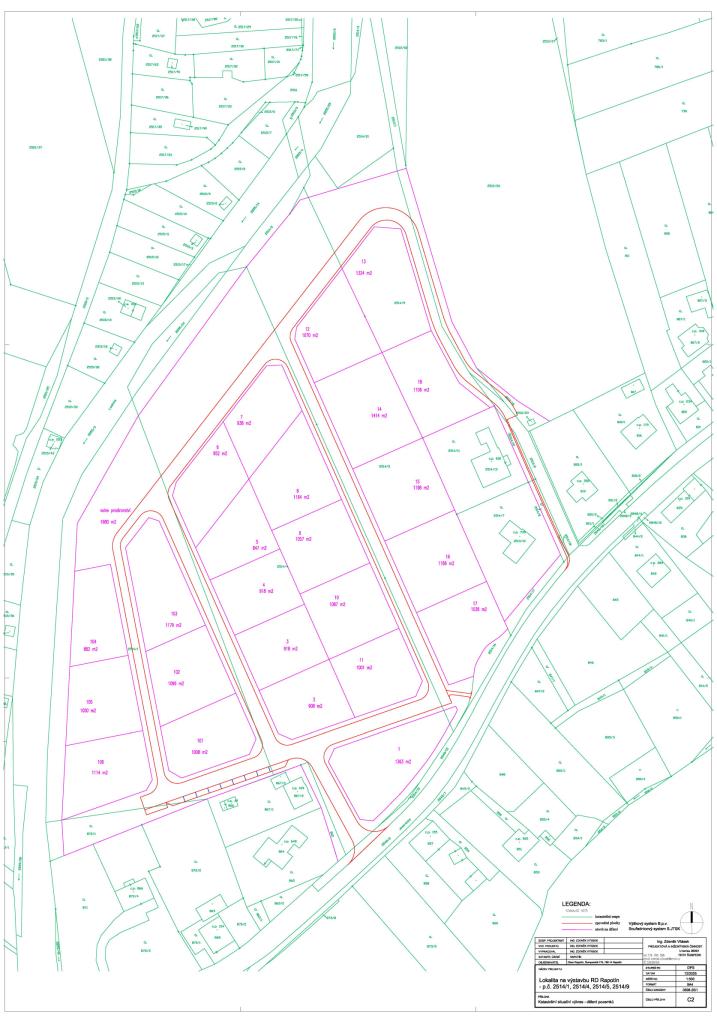
Obec Rapotín se podílí na přípravě nové lokality určené pro výstavbu rodinných domů. Záměr se týká pozemků parcelní číslo 2514/1, 2514/4, 2514/5 a 2514/9 v katastrálním území Rapotín. V této oblasti by mělo v budoucnu vzniknout celkem 24 nových stavebních parcel.

Obec Rapotín se podílí na přípravě nové lokality určené pro výstavbu rodinných domů. Záměr se týká pozemků parcelní číslo 2514/1, 2514/4, 2514/5 a 2514/9 v katastrálním území Rapotín. V této oblasti by mělo v budoucnu vzniknout celkem 24 nových stavebních parcel.

Z připravovaných pozemků bude 6 ve vlastnictví obce a zbývajících 18 parcel patří soukromým vlastníkům. Obec tak svým podílem přispívá k rozšíření možností bydlení v Rapotíně a podporuje další rozvoj naší obce.

V současné době probíhá administrativní proces spojený se souhlasem s dělením pozemků. Tento krok je nezbytný pro to, aby mohly být jednotlivé stavební parcely oficiálně vymezeny. Následovat bude vyřízení potřebných povolení pro vybudování inženýrských sítí.

Cílem projektu je připravit plně zasíťované stavební pozemky, které umožní budoucím stavebníkům bezproblémovou realizaci jejich rodinných domů. Nová lokalita tak nabídne příležitost k bydlení jak mladým rodinám, tak dalším zájemcům, kteří chtějí spojit život v klidném prostředí s dobrou dostupností služeb a občanské vybavenosti.

 

Darina Franková

Datum vložení: 3. 3. 2026 14:47
Datum poslední aktualizace: 3. 3. 2026 14:49
Autor: Obec Rapotín

Události v obci

Napište nám

napište nám

Překlad (translations)

Virtuální prohlídka

Virtuální prohlídka

Návštěvnost

Návštěvnost:

ONLINE:1
DNES:139
TÝDEN:3272
CELKEM:2249341

Mobilní aplikace

Sledujte informace z našeho webu v mobilní aplikaci – V OBRAZE.
Volně ke stažení:

Přihlášení k odběru zpráv

Dostávejte informace z našeho webu prostřednictvím SMS a e-mailů

Kalendář svozů

Březen2026
Po Út St Čt So Ne
23 24
25
26 27
28 1
2 3 4
5 6 7 8
9 10 11
12 13 14 15
16 17 18
19
20 21 22
23 24
25
26 27
28 29
30 31 1
2 3 4 5
Kalendář svozu odpadu

Hlášení závad

Hlášení závad